Build Your Dream Home in Elisenheim

N$790,000
Property Details

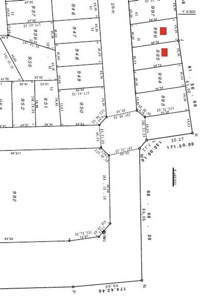
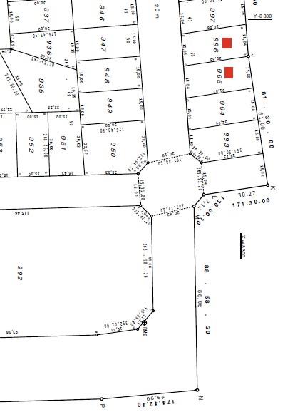
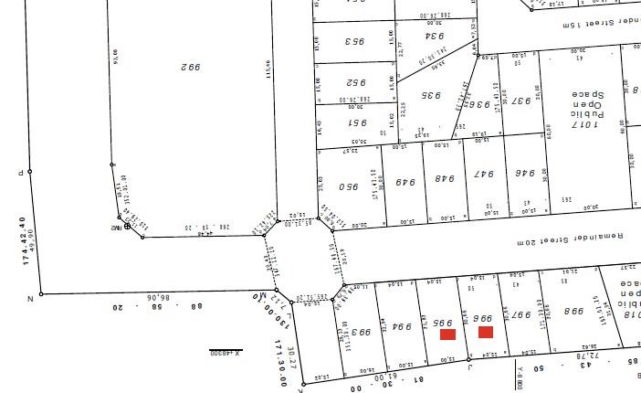
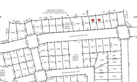
Two even size stands, at same price each, to choose from. These are the perfect opportunity to build your dream home and start your life in the beautiful Phase 2, Extension 7. This erf is situated slightly on street level, with no slope and a rectangular shape, with one of the shorter boundaries facing the street. There is a brick boundary wall on the western boundary and the erf size is 460m2.The selling price each: N$ 790 000 as per valuation 2022, excluding all costs. The property is privately registered and ready to be taken over by a new owner. Don't miss out on this amazing opportunity and take the first step towards having your dream home built in a peaceful and beautiful environment. Contact us today for more information about this property.

Condition: Current Owner will build your dream home for you.

Please Contact: Cecilia 081 247 7244

Property Features
Property Type
Vacant Land Residential
Land Size
460m²
Location
Make an enquiry
Interested in this property? Please fill in your details below, and we will contact you as soon as possible.
By clicking on "submit" you agree to our privacy policy.
Property Alerts
Receive email alerts for properties matching your criteria.